Hello People,
Hope everyones fishing has been going well. I know it might be weird to not be salmon fishing out in Westport, but I just don't like the taste of salmon.
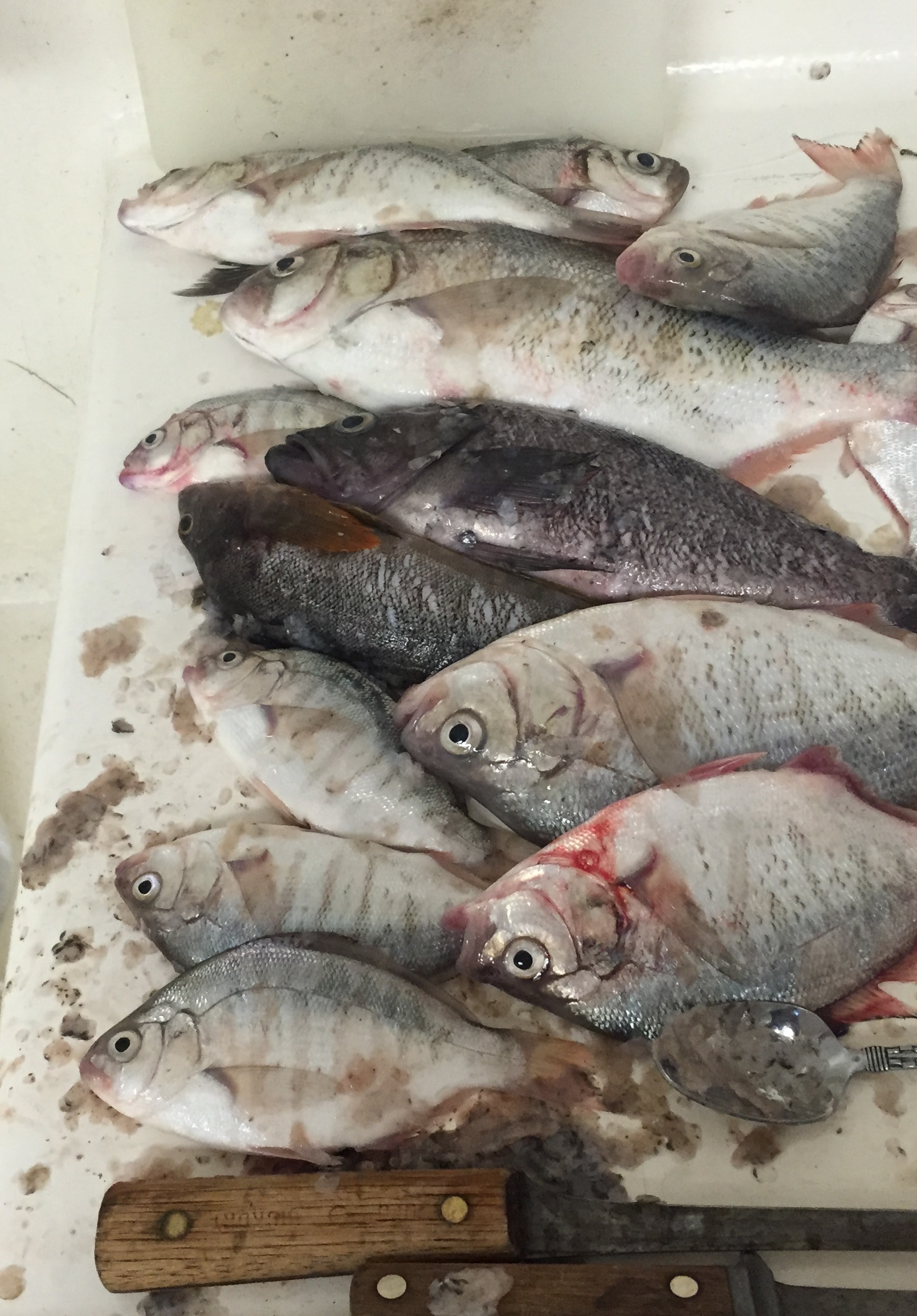
I was planning on catching some rockfish in addition to the surf perch. Does anyone have a good set up to use fishing off the jetty out there? I have seen people do really well with chunks of herring under a float at the fishing docks, but the jetty is a bit different. I know from personal experience the set up is the difference from going home with 1 rockfish (me), or getting close to limit (everyone but me apparently).
Thanks for any input,
Peter
Jetty Fishing
Forum rules
Forum Post Guidelines: This Forum is rated “Family Friendly”. Civil discussions are encouraged and welcomed. Name calling, negative, harassing, or threatening comments will be removed and may result in suspension or IP Ban without notice. Please refer to the Terms of Service and Forum Guidelines post for more information. Thank you
Forum Post Guidelines: This Forum is rated “Family Friendly”. Civil discussions are encouraged and welcomed. Name calling, negative, harassing, or threatening comments will be removed and may result in suspension or IP Ban without notice. Please refer to the Terms of Service and Forum Guidelines post for more information. Thank you
Re: Jetty Fishing
Also figured I would post my perch set up, which did really well.
Two size 4 hooks, small pieces of cheapo shrimp from an asian market because they have the best prices. Make sure you remove the shell so they can take a better bite at it.
7/8 oz weight or something similar at bottom, cast out near a jetty spot that is deep with lots of movement. You can use google maps for depth.
Slow reel in, most bites will happen at the top of a wave because the schools ride in those things.
Two size 4 hooks, small pieces of cheapo shrimp from an asian market because they have the best prices. Make sure you remove the shell so they can take a better bite at it.
7/8 oz weight or something similar at bottom, cast out near a jetty spot that is deep with lots of movement. You can use google maps for depth.
Slow reel in, most bites will happen at the top of a wave because the schools ride in those things.
-
cobrar543
- Lieutenant
- Posts: 298
- Joined: Sat Jul 26, 2008 12:43 pm
- Location: Camano Island by way of Montana, Great Falls
- Contact:
Re: Jetty Fishing
great post above. I have seen other recommend using ROCKS from the jetty as weights too. attach them with a swivel using very light line. That way when you get snagged it snaps the rock off instead of expensive weights or hooks
- Bobber_Dogging_Gal
- Petty Officer
- Posts: 96
- Joined: Mon Mar 23, 2015 10:33 am
Re: Jetty Fishing
Are you jigging for perch razorsan? Ever hit local piers for pile perch?
Bobber_Dogger
Re: Jetty Fishing
Bobber_Dogging_Gal wrote:Are you jigging for perch razorsan? Ever hit local piers for pile perch?
I do, but I have started to stray away from it because it is supremely mediocre fishing most of the time. Winter the perch bite is supposed to be best. I don't really go for the small stripers because they are not as good to cook with. The big ones with blue stripes are good if you can catch a handful though.
People have differing opinions about what to use. I use shrimp because its easy, but the people who clean house locally go down to a beach with rocks and collect barnacles. Smash them up and put them on a hook somehow. Its a significant amount of work though, because you collect on low tide and have to fish for the big perch during high tide.